颱風餘威致多地暴雨 兇悍的“山竹”會被除名嗎?
風王“山竹”退場之後,兇悍的“山竹”該不該除名被熱議。專家介紹,颱風的命名來自亞太14個國家和地區提供的140個備用名,造成嚴重災害的颱風,颱風委員會成員可申請將該名刪除,提供該名稱的成員需提交新名稱補缺。2006年,颱風“榴蓮”給菲律賓造成嚴重災害,菲律賓在當年就提出將“榴蓮”除名,提供“榴蓮”名稱的泰國提交了新名稱“山竹”。
颱風餘威仍在**——“山竹”停止編號 廣東、廣西局地仍有暴雨**
據中新網報道,肆虐多日之後,從17日開始,被稱為“風王”的今年第22號颱風“山竹”,其能量逐漸減弱,影響力也漸漸變小。
根據中央氣象台的監測,“山竹”17日下午在廣西西部減弱為熱帶低壓,此後繼續向西偏北方向移動,強度進一步減弱,目前已經很難確定其環流中心,中央氣象台在17日20時停止對其編號。
從17日開始,廣東、海南等地因“山竹”而停運的高鐵、航運線路也逐漸恢復運營,民眾的工作生活正慢慢恢復正常。
“風王”雖已退場,但是餘威仍然存在,中央氣象台在17日18時發佈了暴雨藍色預警。
預計17日20時至18日20時,廣東西南部、廣西、貴州、雲南南部等地有大到暴雨,其中,廣東西南部和廣西東南部沿海局地有大暴雨(100~120毫米)。
此外,水利部和中國氣象局17日18時聯合發佈山洪災害氣象預警,自然資源部與中國氣象局還聯合發佈地質災害氣象風險預警。

颱風過後,廣州市珠光路倉前直街,垃圾堆積,一片狼藉。沈釗 攝
“山竹”造成哪些災害?****——傷亡人數較近年同級別颱風大幅減少
自“山竹”奔向華南以來,從國家層面到地方政府,連日來,多地多部門聯動迎戰今年來登陸中國的最強颱風。
根據應急管理部的統計,截至17日18時,廣東、廣西消防部隊出警2603次,出動消防員2萬餘人次、車輛舟艇3635台,營救羣眾1629人,疏散羣眾7530人。
登陸以來,“山竹”的肆虐帶來多少災害?據統計,截至17日18時,颱風“山竹”造成廣東、廣西、海南155萬人受災,4人因災遇難、1人失蹤,700餘間房屋倒塌或嚴重受損。
17日下午,應急管理部召開抗擊颱風“山竹”視頻調度會,這次會議認為,從目前的情況看,颱風“山竹”與2008年“黑格比”、2015年“彩虹”、2017年“天鴿”相比,路徑相似、強度相近,但傷亡人數、失蹤人口、倒損房屋等都大幅度下降。
不過,這次會議同時強調,雖然當前颱風“山竹”已逐步減弱為熱帶低壓,但暴雨、大風等災害天氣仍將持續,颱風過境地區有可能出現城市內澇、洪水和地質災害。
特別是廣西、雲南、貴州等前段時間雨水浸泡時間較長的山區,次生事故災害風險仍然較高,搶險救援、防災救災任務仍然很重。應急管理部要求,相關地區要繼續保持應急備戰狀態,不可掉以輕心、麻痹鬆懈,颱風一日不退、力量一日不撤。

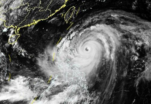
颱風“山竹”衞星雲圖。圖片來源:中央氣象台
網友熱議“山竹”該不該除名**——專家:截至目前已有36個颱風名稱被清除**
“風王”、“超級颱風”、“最強颱風”……自“山竹”生成以來,輿論對於“山竹”威力的形容詞不斷湧現。
自“山竹”影響逐步顯現以來,華南多地網友就在互聯網上曬出“風王”的兇悍威力。
16日13時許,“山竹”登陸之前,深圳市氣象局官微“深圳天氣”甚至還@中央氣象台,表示申請除名“山竹”,冷酷的“山竹”該不該除名也引發網友的討論。
中國氣象局颱風與海洋氣象預報中心首席預報員高拴柱介紹,颱風的名字,來自世界氣象組織所屬的亞太地區14個國家和地區各提供10個名字而組成的140個備用名。這140個名稱始終處於循環使用的狀態,直到“退役”的那一天。不過,在台風命名錶上的名字並不是“終身制”,一旦颱風作惡多端或太有個性,就會在命名錶上被除名。

9月17日上午,工程人員在香港維多利亞公園砍鋸倒塌的樹木。受颱風“山竹”影響,香港有1500宗塌樹報告,維園受災嚴重。中新社記者 洪少葵 攝
專家介紹,對於造成特別嚴重災害的熱帶氣旋或因其他原因,颱風委員會成員都可以申請將該熱帶氣旋名稱從命名錶中刪除。例如,曾給中國造成重大損失的2005年第19號颱風“龍王”、2013年第30號颱風“海燕”、2016年第14號颱風“莫蘭蒂”,它們都因為破壞力巨大,正式被除名。
據悉,截至目前,被除名的共有36個名稱,這些名稱將永遠代表它最後一次跟隨的颱風。此外,熱帶氣旋命名錶上每一個名字的序列都是固定的,當某一名稱被除名後,提供該名稱的成員需提交一個新的名稱,填補這一序列空缺。
但是颱風委員會並沒有對特別嚴重災害的標準做具體界定,主要根據受影響成員國或地區提供的災情資料來討論決定是否將一個颱風名稱除名。中央氣象台颱風專家張東認為,災害主要是從人員傷亡和財產損失兩方面來看,以官方統計數據為準。
據介紹,2006年台風“榴蓮”曾在菲律賓造成數百人死亡,因此,菲律賓在當年召開的颱風委員會年度會議上就提出將“榴蓮”除名。與此同時,提供“榴蓮”名稱的泰國則須在第二年召開的颱風委員會年度會議上提交新的名稱,“山竹”便由此而來。
“山竹”已致近70人死亡 被除名可能性較大
那麼“山竹”也會被除名嗎?在張東看來,如果結合菲律賓和中國的災情,“山竹”被除名的可能性較大,但他強調目前還沒有完整的官方災情統計,“山竹”最終的命運還要看官方的災情統計結果。
今年第22號颱風“山竹”巔峯強度達到超強颱風級,最大風力達到65米/秒,與1821號颱風“飛燕”並列為今年以來“風王”。15日,它已接近巔峯強度在菲律賓呂宋島北部登陸。據中國新聞網消息,菲律賓北部至少64人因颱風引發的事件喪命,多數是因為泥石流和房屋倒塌。另有45人失蹤,33人受傷。
16日17時前後“山竹”又以強颱風強度在廣東省江門市台山沿海登陸,為今年以來登陸我國的最強颱風。張東介紹,從影響上看,“山竹”具有大風範圍廣、持續時間長、風暴增水顯著的特點,8~11級陣風範圍覆蓋廣東中南部、廣西中東部、福建東部和南部,珠江口附近8級以上陣風幾乎持續了近24小時,珠海白蕉、廣州中大、東莞大盛等12站潮位超歷史最高潮位。
據國家減災網消息,截至17日11時,廣東、廣西、海南3省(自治區)29市129個縣(市、區)141.9萬人緊急避險轉移和安置,4人因災死亡。具體災情仍在進一步核查統計中。
因影響中國而除名的颱風每年不到一個
據統計,截至2017年,共有36個颱風名稱被永久除名,平均每年2.25個。其中,因給中國或包括中國在內的多個國家和地區帶來災害而被除名的颱風有13個,平均每年0.81個。
除了破壞性大導致除名,也有一些颱風名稱因為其他原因而停用,多為宗教、傳統習俗或文化原因。如朝鮮提供的颱風名稱“清松”,因英文名“Sonamu”發音近似海嘯(Tsunami),容易引起恐慌而除名;中國香港提供的兩個颱風名稱“欣欣”、“婷婷”因識別度不夠高而退役等。
目前由中國氣象局提供的颱風名稱中,已有“龍王”、“海燕”、“海馬”三個被除名,原因均為造成重大災害。其中1330號颱風“海燕”是人類有記錄以來的最強颱風,導致菲律賓6201人傷亡,1885人失蹤。
另據中新網消息,17日晚,中央氣象台已停止對台風“山竹”的編號,咆哮多日的“風王”正式退場。不過,根據氣象預報,受“山竹”餘威的影響,廣東、廣西等地今日仍有暴雨。

9月17日,廣東江門台山大江鎮僑園新村,民眾使用鐵板抵擋家門口的積水。中新社記者 陳驥旻 攝