地球史上最兇颱風直擊日本,東京預測死亡8000人?超市已被一搶而空_風聞
上海全知道-上海全知道官方账号-自媒体人脊梁in上海2019-10-11 15:51
這兩天 超強颱風海貝思還在海上
卻已經在網上實力刷屏
尤其是日推上
其中一份日本小報的標題
更是把許多人嚇了一大大大大大跳
最兇颱風!
預測東京死者8000人
海貝思是不是最兇先等等討論
你這個標題倒是蠻兇的
死8000?這怎麼還提前預測上了??
你這麼寫人家東京知道嗎?
雖然可能是想描述海貝思的影響巨大
但這UC標題也太….聳人聽聞了吧?
yahoo!上也推送了一條新聞
讓人又又緊張上了
地球史上最大級別颱風?
這都用上**“地球史”**了
感覺得如臨大敵一下以示敬意?
傳到中國這邊更加誇張
説是迄今為止颱風最大等級的颱風
超越5級颱風
被定義為不存在的6級颱風
一看就是沒有地理常識的人在信口開河
貨架一掃而空
雖然完全不能信
小報那種聳人聽聞的標題
但根據正經日媒的報道
這次海貝思的影響確實不可小視
之前9月上旬把日本折騰的夠嗆的
颱風15號和這次的海貝思
光體型上的對比就很驚人了
再把日本和海貝思放一起對比
“……”
你TM管這玩意叫颱風?
@中央氣象台轉發確認
的確是颱風
超強颱風並連上北邊的温帶氣旋
所以看起來那麼大那麼恐怖
救命啊這體型這風眼
吞噬感讓人望而生畏

可想而知霓虹那邊
大家都在拼命囤水囤糧
超市和便利店裏的貨架
全被一掃而空
泡麪什麼的一個不剩
真的…都被搬空了…
颱風天除了囤食物和水
防風膠帶也是必囤物品
這兩天日本專家就通過實驗
表現颱風瞬間最高風速50米
和70米的威力


媽耶真實嚇尿了 膠帶趕緊貼起來
毫無意外 一些超市裏的防風用膠帶
還有防斷電的發電機
全部掛出了完售的牌子
膠帶貨架被一搶而空
全部空空如也
除了囤積食物等 出行也是關注點
JR東日本於11日上午稱
將在12日~13日實施大範圍停運
此外 大量航班也已經被取消
12日和13日上午的航班
受到的影響最大
並非史上最強
好,再來澄清日本小報的誇張標題
颱風海貝思的確很強
巔峯時期中心氣壓在900百帕左右
(正常大氣壓1013百帕 越低颱風越強)
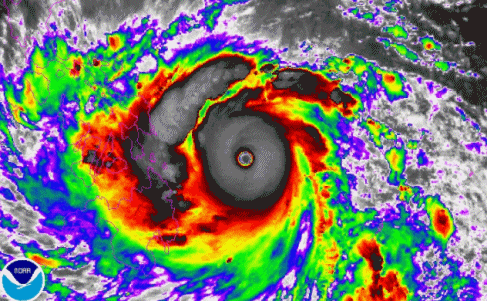
第一次巔峯時
颱風海貝思的中心是細小的針眼
眼睛越小的颱風強度越強
海貝思第一次巔峯時的水汽圖
讓人望而生畏
海貝思10月9日的二次巔峯
強度也很驚人 氣壓也低到910百帕

但海貝思的強度只是2019年最強
在最近6年裏的確可以稱得上風王
但歷史排名都排不進前三名
什麼史無前例的超強颱風
達到了前所未有的不存在的6級颱風
都是沒有氣象常識的人在胡説八道

拿近的説 2013年的風王海燕
巔峯時期中心氣壓890百帕
就已經強過海貝思了
有氣象資料以來最強的風暴
是1979年的風王——颱風泰培(Tip)
中心氣壓低到870百帕
這才是真正的史上最強
海貝思和泰培比起來還得靠邊站
站得還很遠
所以比起小報吸人眼球的標題
還是日本氣象廳給出的比較和數據更專業
10月11日上午11時
日本氣象廳召開記者見面會
指出本次颱風帶來的降水量
可能與1958年(昭和33年)的
狩野川颱風不相上下
狩野川颱風曾於1958年9月27日
在神奈川縣登陸
給東海、關東地區造成嚴重災害
並造成1269人遇難
“死八千”是無稽之談
前面提到的2013年風王海燕
以巔峯強度登陸菲律賓
造成菲律賓約6300人死亡
1062人失蹤、28688人受傷


海燕登陸菲律賓時是其最強的時候
加上菲律賓的防災能力差
造成了巨大傷亡
但海貝思2次巔峯都已經過去
目前結構已經潰敗
出現了明顯的減弱
到12日晚登陸日本時將是強颱風強度
並不在其巔峯強度
由於海貝斯移動迅速 影響時間不長
加上日本的防災能力很強
遇難人數超過8000人絕對是誇張
海貝思的確很強 但那麼誇張
傷亡會很有限
日本也不會被吹出地球

上面這張圖中可以看到
隨着颱風海貝思北上
結構越發鬆散 強度減弱明顯
年輕的時候誰不是容色傾城
但歲月是把殺豬刀 對台風也是這樣
對上海:幫助入秋
颱風海貝思因為登陸日本
不會對我國有直接影響
所以這個颱風跟上海也沒有直接關係
未來2天計劃去日本旅遊的童鞋
12日下午到13日早晨
名古屋和東京的航班
延誤取消的概率會很高
海貝思對上海最主要的影響
就是幫助上海正式入秋
上海常年入秋時間10月2日
颱風是低氣壓 冷空氣是高氣壓
颱風海貝思吸引北方冷空氣不斷南下
上海有可能在10月13日前後
正式入秋
(完)