美國本土遭受重創,損失近700億美元,拜登戲劇化講話火了…_風聞
新财迷-新财迷官方账号-财经资讯、政策深入解读,金融、资本市场最新评论2022-09-30 07:59
作者 | 小老虎
1851年以來,美國本土共計遭受過4次5級(最高級別)颶風,分別是1935年“勞動節”颶風,1969年“卡米爾”颶風,1992年“安德魯”颶風和2018年“邁克爾”颶風。
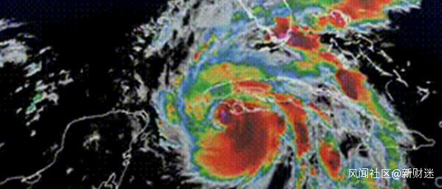
就在近日,颶風“伊恩”從2級升3級,並以4級颶風成功登陸美國佛羅里達州西海岸,最高風速達155英里/小時,距離5級颶風所需的157英里/小時近在咫尺。
颶風“伊恩”的威力有多大,沿途經過的古巴已經全境停電數天,美國佛羅里達州超過200萬户家庭和企業斷電,晚上9點~上午6點出門還將面臨二級輕罪指控。美國專家估算,颶風“伊恩”對美國地區的破壞和經濟損失可能達到700億美元。
颶風、暴雨、雷電、洪水和停電,按風速來算,颶風“伊恩”排在美國曆史第五強,按造成經濟損失來算,颶風“伊恩”排在美國曆史第六強。不管從哪個角度來説,時任美國總統拜登,一旦沒有處理好颶風“伊恩”所帶來的負面影響,必將成為美國人羣起而攻之的吐槽點。
然而就在關鍵時刻,拜登似乎腦袋有點不正常……
面對颶風“伊恩”來襲,拜登首先想到的,居然是提醒大家火速接種新冠疫苗,並表示如果不積極接種疫苗,可能面臨複雜情況。這樣的發言實在太不正常了,哪怕是説一句“注意安全”,或是“砸錢救災”,都能贏得民眾的好感,或許拜登壓根就沒把颶風當回事。
要知道,就在前不久的9月18日,拜登接受美國哥倫比亞廣播公司採訪時,他認為美國新冠疫情大流行“已經結束”,大家都沒戴口罩,看起來都挺健康的。在這過去10天,拜登又呼籲大家緊急接種新冠疫苗,原來疫苗不是用來抵禦病毒,而是抵禦颶風的,真是厲害了。
這場預計給美國帶來700億美元損失的颶風“伊恩”,並沒得贏得拜登的尊重,拜登可以把心思放在中國,可以把心思放在俄羅斯,可以把心思放在全世界任何一個國家,唯獨美國國內就算炸開了鍋,隨便敷衍一下就過去了。







