陸地探測一號01組衞星正式投入使用
guancha
微信公眾號“中國的航天”消息,12月29日,國家航天局在京舉辦陸地探測一號01組衞星投入使用儀式。國家航天局總工程師李國平出席儀式。
自然資源部、應急管理部、國家林業和草原局、中國科學院、中國航天科技集團有限公司等單位代表出席儀式並共同簽署了衞星投入使用證書,衞星運行相關單位簽署衞星長期運行管理協議。

陸地探測一號01組衞星是《國家民用空間基礎設施中長期發展規劃(2015-2025年)》中的科研衞星,由A、B兩顆衞星組成。2023年兩顆衞星完成在軌測試,衞星狀態良好,性能滿足衞星工程研製總要求及應用系統需求,具備投入使用條件。
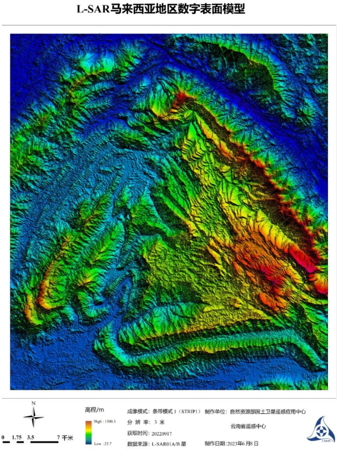
衞星以雙星繞飛模式拍攝了全國多雲多雨區以及部分國際多雲多雨區,以雙星跟飛模式拍攝了國內典型形變區,製作了各類圖件372幅,生成了全國正射影像、部分多雲多雨區的數字表面模型、典型形變區的形變場產品以及各類應急和林草監測產品,包括舟曲泥石流、陝西安康地區滑坡、北京等地土地利用分類、雲南等地數字表面模型、四川瀘定地震、內蒙古礦難、海南省森林/非森林分佈等。




部分多雲多雨區的數字表面模型






全國正射影像




典型形變區的形變場產品





典型形變區的形變場產品




各類應急監測產品




各類應急監測產品
衞星投入使用後,將緊密圍繞地質、國土、減災、測繪、地震、林草等行業開展服務,可提供地質行業高分辨率業務化形變監測服務,面向國土行業地表分類和地物識別進行業務化拓展,面向測繪進行數字正射影像業務化拓展,服務於國家重大災害應急響應、國家重大地震災害、林草森林資源監測等,逐步拓展國外數據應用推廣,服務“一帶一路”倡議。