上海明後天將有大暴雨,或為1981年以來11月最大降雨
guancha
受今年第21號颱風“康妮”外圍環流和冷空氣共同影響,31日傍晚到11月1日,上海市有大暴雨,過程雨量120~180毫米,東南部可達220~280毫米,最大小時雨強40~70毫米,降水具有極端性,有可能成為1981年以來11月最大降水過程;31日夜裏起風力逐漸增大,11月1日最大陸地陣風8~9級,洋山港區陣風10~11級。
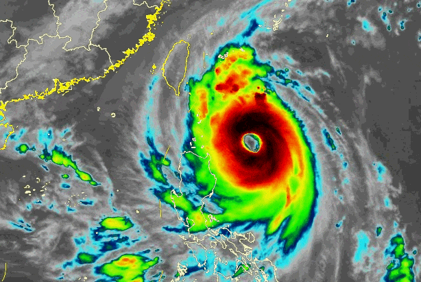
颱風“康妮”動態:加強為超強颱風,逐漸向台灣島靠近

今年第21號颱風“康妮”,今天早晨增強為超強颱風,11時其中心位於距離台灣省台東市東南約520公里的太平洋洋麪上,中心附近最大風力有17級,中心最低氣壓為925百帕,七級風圈半徑380~480公里。
預計“康妮”將以每小時15~20公里的速度向西北方向移動,強度還將有所增強,將於31日中午到下午在台灣島南部或中部登陸,爾後沿浙閩沿海一帶近海北上(也可能在上述沿海地區登陸或擦過),強度迅速減弱。

颱風外圍聯手冷空氣,週四傍晚至週五大暴雨

降水預報:注意防範大暴雨
受“康妮”外圍環流和冷空氣共同影響,10月31日下午起上海市將出現陣雨天氣,傍晚開始雨勢增強,強降水將持續到2日凌晨,降水集中時段出現在31日半夜至11月1日白天。過程累積雨量大暴雨(120~180毫米),上海市東南部地區雨量更顯著(局部可達220~280毫米),可能成為上海市1981年以來11月最大降水過程。
注意防範大風
31日夜裏起上海市風力逐漸增大,11月1日最大陸地陣風8~9級,高層建築及沿江沿海地區陣風9~10級,洋山港區陣風10~11級,2日下午風力逐漸減弱。
天氣提示
颱風影響前可適量儲備飲用水和食物。颱風影響期間儘量減少外出。
防範大風。妥善收起室外物品,防止高空墜物。不要在臨時建築物附近躲避風雨,車輛停靠遠離大樹等。
此次過程具有極端性,強降水可能造成局部積水,如在户外注意不要輕易涉水。
“康妮”影響期間正值天文大潮期,注意提防風暴增水影響,低窪處有需注意防範。
此次過程對交通有較大影響,注意及時瞭解出行信息。
注意及時瞭解預報預警信息。
後期天氣趨勢:下週冷空氣影響,氣温進一步下降
明天上海逐漸受到“康妮”外圍影響,雲系增多,下午開始轉雨,全天氣温在18~23℃之間。明天夜間到週五降雨明顯,同時風力增大。降雨和冷空氣影響,週五和週六氣温下降,最高氣温僅20℃。週日上海天氣恢復平靜。下週還有一次冷空氣過程,上海以多雲天氣為主,氣温進一步下降。
